Так выглядят объекты на отсканированных нами снимках...

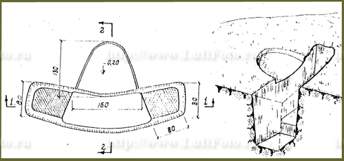
Окоп для 150 ММ Гаубицы


Примерная Схема


Окоп 150 ММ Пушки Гаубицы Чертеж

ВИД НА НЕМЕЦКОЙ АЭРОФОТОСЪЕМКЕ, МАСШТАБ ~ 1:8000


ОКОП ДЛЯ 150 ММ ПУШКИ ГАУБИЦЫ, ВИД НА НЕМЕЦКОМ АЭРОФОТОСНИМКЕ, МАСШТАБ ~ 1:8000

Окоп для 220 ММ Гаубицы


Примерная Схема


Окоп 220 ММ Пушки Гаубицы Чертеж

ВИД НА НЕМЕЦКОЙ АЭРОФОТОСЪЕМКЕ, МАСШТАБ ~ 1:8000. На нижнем снимке - замаскированные окопы для 220 ММ орудий, с блиндажами/укрытиями для личного состава.


ОКОП ДЛЯ 220 ММ ПУШКИ ГАУБИЦЫ, ВИД НА НЕМЕЦКОМ АЭРОФОТОСНИМКЕ, МАСШТАБ ~ 1:8000 ОКОП ДЛЯ 220 ММ ПУШКИ ГАУБИЦЫ, ВИД НА НЕМЕЦКОМ АЭРОФОТОСНИМКЕ, МАСШТАБ ~ 1:8000

ХОДЫ СООБЩЕНИЯ - "ТРАНШЕИ", С ПРИМКНУТЫМИ СТРЕЛКОВЫМИ ЯЧЕЙКАМИ


Примерная Схема


ХОДЫ СООБЩЕНИЯ - ХОДЫ СООБЩЕНИЯ - ХОДЫ СООБЩЕНИЯ -

ВИД НА НЕМЕЦКОЙ АЭРОФОТОСЪЕМКЕ, МАСШТАБ ~ 1:8000.


ХОДЫ СООБЩЕНИЯ - ХОДЫ СООБЩЕНИЯ -

ПУЛЕМЕТНЫЕ ПЛОЩАДКИ


Примерная Схема


Пулеметная площадка чертеж
Пулеметная площадка, чертеж в разрезе

ВИД НА НЕМЕЦКОЙ АЭРОФОТОСЪЕМКЕ, МАСШТАБ ~ 1:8000.


Пулеметная площадка, вид на немецкой аэрофотосъемке масштаб 1:8000

Примерная Схема


Пулеметная площадка чертеж

ВИД НА НЕМЕЦКОЙ АЭРОФОТОСЪЕМКЕ, МАСШТАБ ~ 1:8000.


Пулеметная площадка, вид на немецкой аэрофотосъемке масштаб 1:8000 Пулеметная площадка, вид на немецкой аэрофотосъемке масштаб 1:8000

МИНОМЕТНАЯ ПЛОЩАДКА


Примерная Схема


ОКОП ДЛЯ МИНОМЕТА ЧЕРТЕЖ

ВИД НА НЕМЕЦКОЙ АЭРОФОТОСЪЕМКЕ, МАСШТАБ ~ 1:8000.


Окоп для Миномета Вид на немецкой аэрофотосъемке, масштаб 1:8000

БЛИНДАЖИ/УКРЫТИЯ НА ЛИНИИ ФРОНТА


Примерная Схема


Укрытие/блиндаж на передовой.

ВИД НА НЕМЕЦКОЙ АЭРОФОТОСЪЕМКЕ, МАСШТАБ ~ 1:8000. Два укрытия/блиндажа соединины ходами сообщения, которые в свою очередь соеденины с пулеметной площадкой.


Два укрытия/блиндажа соединины ходами сообщения, которые в свою очередь соеденины с пулеметной площадкой. Вид на немецкой аэрофотосъемке, масштаб ~1:8000

ТЫЛОВЫЕ ФОРТИФИКАЦИОННЫЕ СООРУЖЕНИЯ


БЛИНДАЖИ/УКРЫТИЯ НАНОСНОГО ТИПА, УСТРОЕННЫЕ В ТЫЛУ. Примерная Схема


Блиндаж/Укрытие наносного типа, устроенный в тылу, чертеж

ВИД НА НЕМЕЦКОЙ АЭРОФОТОСЪЕМКЕ, МАСШТАБ ~ 1:8000. Блиндажи/укрытия устроенные в тылу, наносного типа. Сверху замаскированы дерном и/или подручными материалами или маскировочной сеткой.


Блиндажи/укрытия наносного типа, утроенные в тылу, немецкая аэрофотосъемка, масштаб 1:8000Блиндажи/укрытия наносного типа, утроенные в тылу, немецкая аэрофотосъемка, масштаб 1:8000
Блиндажи/укрытия наносного типа, утроенные в тылу, немецкая аэрофотосъемка, масштаб 1:8000

ФАНЕРНЫЕ ПАЛАТКИ УСТРОЕННЫЕ В ТЫЛУ. Примерная Схема


Фанерные палатки, замаскированные/не замаскированные и в процессе строительства/разобранные. Примерная схема.

ВИД НА НЕМЕЦКОЙ АЭРОФОТОСЪЕМКЕ, МАСШТАБ ~ 1:8000,1:12000. Фанерные палатки, не замаскированные/ замаскированные и в процессе строительства/разобранные. На снимках показаны стрелками.


Фанерные палатки, замаскированные/не замаскированные и в процессе строительства/разобранные. Немецкая аэрофотосъемка. Масштаб 1:8000. На снимке показана стрелкой.Фанерные палатки, замаскированные/не замаскированные и в процессе строительства/разобранные. Немецкая аэрофотосъемка. Масштаб 1:8000. На снимке показана стрелкой.
Фанерные палатки, замаскированные/не замаскированные и в процессе строительства/разобранные. Немецкая аэрофотосъемка. Масштаб 1:8000. На снимке показана стрелкой.

ПРОТИВОТАНКОВЫЕ РВЫ


Противотанковые ров. Примерная Схема


Противотанковый Ров треугольного профиля примерный чертеж
Противотанковый Ров треугольного профиля с перемычками, примерный чертеж

ВИД НА НЕМЕЦКОЙ АЭРОФОТОСЪЕМКЕ, МАСШТАБ ~ 1:8000,1:15000.


Противотанковый ров треугольного профиля. Вид на немецкой Аэрофотосъемке, масштаб ~ 1:8000ротивотанковый ров треугольного профиля. Вид на немецкой Аэрофотосъемке, масштаб ~ 1:15000